
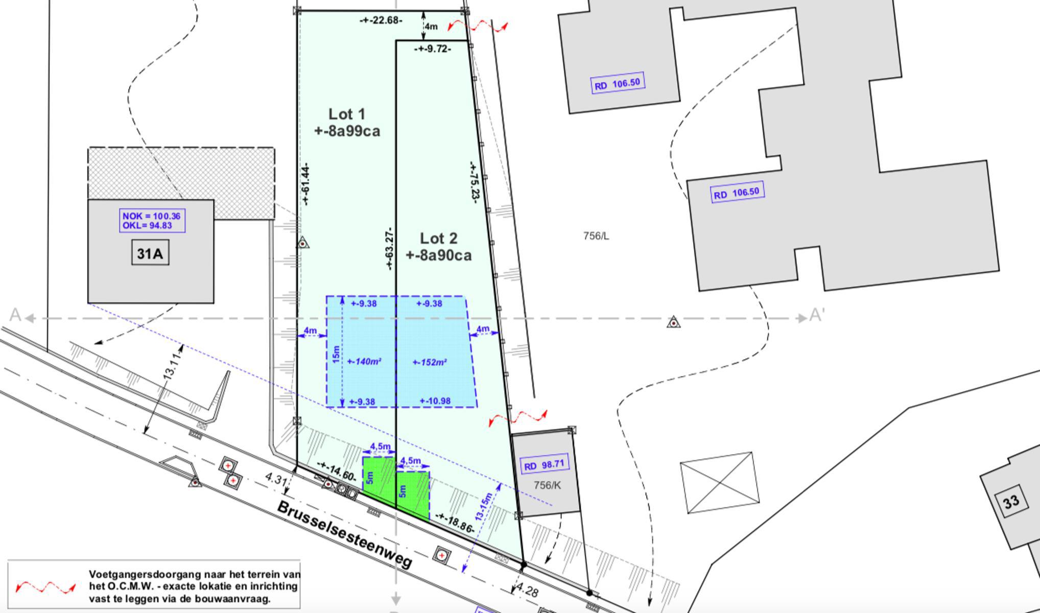
Terrain à bâtir de +/-18a sur le commune d'Hoeilaart, idéalement situé à proximité immédiate de toutes les facilités (commerces, écoles, centre sportif, Château de Hoeilaart, parc Jan van Ruusbroec...) et à seulement 1,5km de la gare et 2km du R0.
Permis obtenu pour 2 lots. Possibilité de construire une maison 3 façades sur chaque lot. Pour plus de renseignements concernant cette belle opportunité, contactez-nous!
Référence | 4846915 |
---|---|
Catégorie | Terrain à bâtir |
Surface du terrain | 1789 m² |